Thai Top Property.com Logo

ขาย ที่ดิน กรุงเทพ บางเขน ท่าแร้ง สุขาภิบาล 5 ซอยสุขาภิบาล 5 ซอย 5 แยก 4 โครงการ ซอยสุขาภิบาล 5 ซอย 5 แยก 4

จังหวัด กรุงเทพมหานคร ( เขตบางเขน )




     


รหัสอสังหาริมทรัพย์ 253499

วันที่เวลา 30/04/2026 17:17:06

ข้อมูล ที่ดิน

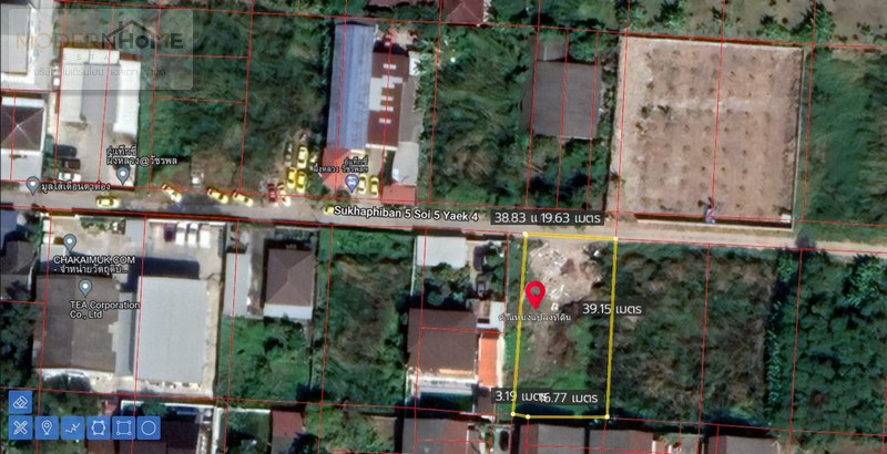
พื้นที่ 199 ตารางวา
ราคา 10,945,000 บาท
ทำเลที่ตั้ง กรุงเทพ บางเขน ท่าแร้ง สุขาภิบาล 5 ซอยสุขาภิบาล 5 ซอย 5 แยก 4
ที่อยู่ ซอยสุขาภิบาล 5 ซอย 5 แยก 4 ใกล้ -
ตำบล / แขวง ท่าแร้ง
เขต / อำเภอ เขตบางเขน
จังหวัด กรุงเทพมหานคร

ติดต่อ

ติต่อคุณ ณัฏฐชานันท์ เดชประดิษฐ์
โทรศัพท์ 0877065389
Email Modernhomeestate9@gmail.com
Line ID 0804459189


ข้อมูลเพิ่มเติม
ขายที่ดินถมแล้วซอยสุขาภิบาล 5 ซอย 5 แยก 4 เนื้อที่ 199 ตร.ว. ถนนสุขาภิบาล 5 เขตบางเขน

ที่อยู่ - ถนนหลักรามอินทรา ถนนรองเทพรักษ์ ถนนสุขาภิบาล5 แขวงท่าแร้ง เขตบางเขน จ.กรุงเทพมหานคร ท่าแร้ง บางเขน กรุงเทพมหานคร

รหัสทรัพย์สิน: MH66009

ประเภททรัพย์สิน : ที่ดิน แปลงมุม หน้ากว้าง 20 เมตร x 40 เมตร มีน้ำและไฟฟ้าเข้าถึงพร้อม ทำเลดี ติดถนนซอย อยู่ในแหล่งชุมชน เหมาะกับการสร้างโรงงาน , โกดังเก็บของ , หอพัก , บริษัท , ที่อยู่อาศัย การเดินทางเข้า-ออกสะดวกได้หลายช่องทาง

เนื้อที่ : 199 ตร.ว. (55,000 บาท/ตร.ว.)

ราคาขาย : 10,945,000 บาท

ชื่อโครงการ : ซอยสุขาภิบาล 5 ซอย 5 แยก 4// ใกล้ห้าแยกวัชรพล

- ห่างจากถนนรามอินทราโดยเข้ามาทางรามอินทราซอย 39(สุขาภิบาล 2) ระยะ 1.5 ก.ม.
- ห่างจากบิ๊กซี เอ็กซ์ตร้า รามอินทรา 3.5 ก.ม.
- ห่างจาก เซ็นทรัลรามอินทรา 4.8 ก.ม.
- ห่างจากด่านขึ้น-ลงทางด่วนทางพิเศษฉลองรัช 3 ก.ม.(บริเวณถนนรามอินทรา ก.ม.ที่ 5.5 วัชรพล)
- เขตผังเมืองสีเหลือง รหัส ย.3-14 ที่ดินประเภทที่อยู่อาศัยหนาแน่น

** สอบถามเพิ่มเติม **

- Phone : 080-445-9189,087-706-5389
- Line : 0877065389
- Email : modernhomeestate@gmail.com

- ID Line : @modernhome_estate
- Facebook : modernhomeestate
- เลือกชมทรัพย์เพิ่มได้ที่ https://www.modernhomeestate.com


ที่ตั้ง : ถนนหลัก รามอินทรา ถนนรองเทพรักษ์ สุขาภิบาล 5 แขวงท่าแร้ง เขตบางเขน จ.กรุงเทพมหานคร

จุดเด่น/สถานที่ใกล้เคียง : - โรงพยาบาลเซ็นทรัลเยนเนอรัล - ตลาดยิ่งเจริญ - BIG C สะพานใหม่ - เซ็นทรัลรามอินทรา - โรงพยาบาลภูมิพลอดุลยเดช - วัดพระศรีมหาธาตุ - สนามกีฬารามอินทรา - ท่าอากาศยานดอนเมือง - รถไฟฟ้าสายสีชมพู

การเดินทางเข้า-ออกสะดวกหลายช่องทาง : - ถนน รามอินทรา - ถนน เทพรักษ์ - ถนน พหลโยธิน - ถนน ทางด่วนรามอินทรา - ถนน ทางด่วนดอนเมืองโทลล์เวย์
ดูข้อมูล ขาย ที่ดิน เขตบางเขน จังหวัดกรุงเทพมหานคร ทั้งหมด




www.ThaiTopProperty.com ลงประกาศ ซื้อ ขาย เช่า บ้าน ที่ดิน คอนโด ฟรี